Beril SÖNMEZ, (DHA) – ABD’li bilim insanları, varlığı 1960’lardan itibaren bilinen Atlantik Okyanusu’ndaki en geniş derin deniz mercan resifinin haritasını çıkarmayı başardı. Resifin yaklaşık 25 bin 900 kilometre kare olduğu belirtildi.
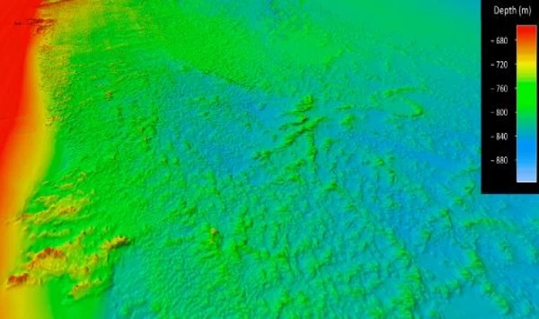
ABD Ulusal Okyanus ve Atmosfer Kurumu (NOAA) ve sivil toplum kuruluşu ile üniversitelerden oluşan ortakları, Atlantik Okyanusu’nun Florida kıyılarına yakın Blake Platosu'ndaki dünyanın en geniş derin deniz mercan resifinin haritasını çıkardıklarını duyurdu. Çalışmaya katılan Haritalama Operasyonları Müdürü Derek Sowers 17 Ocak’ta yaptığı açıklamada “ABD Doğu Kıyısı'nın hemen eşiğindeki çarpıcı mercan ekosistemini sistematik olarak haritalandırmak ve karakterize etmek için yapılan bu çok yıllı ve çok kurumlu stratejik çaba, kaynakları bir araya topladığımızda ve ABD deniz sularının henüz haritası çıkarılmamış yaklaşık yüzde 50'sini keşfetmeye odaklandığımızda neler başarabileceğimizin mükemmel bir örneğidir” dedi.
EKSİKSİZ BİR HARİTALAMA
Dünya okyanuslarının henüz yüzde 75’inin haritalanmadığına dikkat çeken bilim insanları, 31 çok ışınlı sonar haritalama araştırmasından elde edilen batimetrik verileri sentezleyerek ABD'nin güneydoğu kıyı şeridinden yaklaşık 160 kilometre uzakta bulunan deniz tabanının neredeyse 'eksiksiz' bir haritasını çıkardı. Alanın 25 bin 900 kilometre kare olduğu ve neredeyse Florida büyüklüğünde olup yaklaşık olarak Florida'dan Güney Carolina'ya kadar uzandığı ifade edildi.
Dünyanın en geniş derin deniz mercan resifinin haritası çıkarıldı

Beril SÖNMEZ, (DHA) ?? ABD’li bilim insanları, varlığı 1960’lardan itibaren bilinen Atlantik Okyanusu’ndaki en geniş derin deniz mercan resifinin haritasını çıkarmayı başardı. Resifin yaklaşık 25 bin 900 kilometre kare olduğu belirtildi.
Videolar için YouTube kanalımıza abone olmayı unutmayın!
BUNLARA DA BAKABİLİRSİNİZ
- 0SEVDİM
- 0ALKIŞ
- 0KOMİK
- 0İNANILMAZ
- 0ÜZGÜN
- 0KIZGIN



Yorum Yazın
E-posta hesabınız sitede yayımlanmayacaktır. Gerekli alanlar * ile işaretlenmişdir.